PARDUOTA!Parduodamas sklypas Peteriškių k., 35 a ploto
Parduodamas sklypas Peteriškių k., 35 a ploto
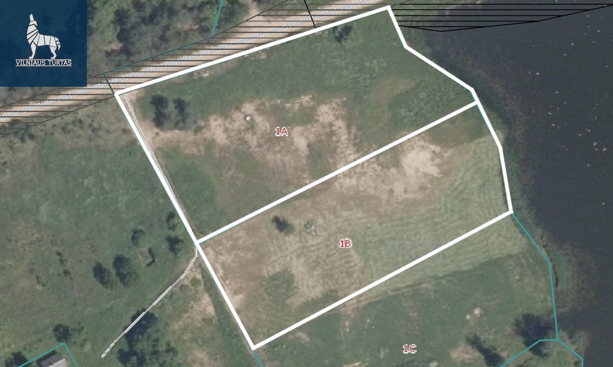
Peteriškių k. Trakų r. sav.
1B sklypas jau parduotas, liko 1A sklypas
Sklypai su statybos leidimais ir Totoriškių tvenkinio pakrante
Įsivaizduokite rytą, kai kavos puodelį gurkšnojate terasoje, prieš akis atsiveria vandens ramybė, o aplink – tik gamtos garsai. Siūlome Jums būtent tokią kasdienybę – parduodami du sklypai, esantys Aukštadvario regioniniame parke.
Aukštadvario regioninis parkas – tai unikali vieta, kur susilieja Lietuviškos gamtos ir kultūrinio paveldo istorija. Kalvynų reljefas, vertingos buveinės, dar gyvi istorijos aidai ir pažintinės galimybės – visa tai daro šią vietą ypatinga.
☞ vos 400 metrų nuo asfaltuotos gatvės.
☞ už 3 km Aukštadvaris, kuriame rasite parduotuves, mokyklą – darželį, gimnaziją, desertinę ir kitas reikiamas vietas
Ypatumai:
✓ Yra statybos leidimai ir parengti gyvenamųjų namų projektai – galima iš karto pradėti įgyvendinti namų statybos planus.
✓ Yra leidimas iš 1A sklypo perkelti elektros tinklus.
✓ 1A sklypui suteiktos elektros sąlygos 14 kW (Galioja iki: 2025-09-19)
✓ 1B sklype statomas 30 m² pirties pastatas su terasa, kuri netrukus bus pilnai įstiklinta stumdomomis durimis. Numatyta elektros dėžutė infraraudonųjų spindulių pirtelei.
✓ Sklypai ribojasi su Totoriškių tvenkinio pakrante – jūsų namai turės nuosavą prieigą prie vandens.
✓ Sklypus supa miškai ir žaluma – ramybė, privatumas, bet kartu ir kaimynystėje gyvenantys žmonės.
✓ Tai vieta, kurioje dera gamtos apsauga (regioninis parkas) ir patogumai nuolatiniam gyvenimui ar poilsiui.
Informacija apie sklypus
◦ 1A sklypas:
◦ Plotas: 41.75 a
◦ Žemės sklypas suformuotas atliekant kadastrinius matavimus
◦ Vienbučių ir dvibučių gyvenamųjų pastatų teritorijos
◦ Kaina: 40 000 Eur
◦ Yra statybos leidimas
◦ Yra leidimas perkelti elektros laidus
Lokacija: https://maps.app.goo.gl/sH14YZdXBCahpLHh8
Koordinatės: 54°32’48.3″N 24°31’31.7″E
Video: https://www.youtube.com/watch?v=_8tDgYieS5c
3D turas: https://shorturl.at/hDVMf
Kreipkitės, šie sklypai išties išskirtis pasiūlymas.
Jūsų NT Brokeris Lukas Vilimas
+370 694 79900
PLANUOK APŽIŪRĄ
- Objekto ID:
- 191891
- Veiksmas:
- Pardavimas
- Plotas, a²:
- 35.0
